iBerkshires     Berkshire Chamber     Berkshire Community College     City of Pittsfield    
Allendale Pines Expansion to Bring More Affordable Homes
By Breanna Steele, iBerkshires Staff
05:27AM / Tuesday, August 19, 2025
Print | Email  

Manufactured homes will start being installed before the end of the year on this cleared lot at Allendale Pines.


PITTSFIELD, Mass. — The Allendale Pines expansion will bring more affordable homes to the community.
 
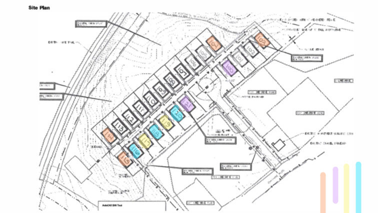
The expansion is located at 395 Cheshire Road, bordering the Ashuwillticook Trail, and will include 22 manufactured homes. The project cost is $1.4 million and is not too far from the current mobile home community at 245 Cheshire Road.
 
The homes will start as low as $179,900. Residents will pay owner Teton Management Corp. a lot fee of $550, which will include water and sewer. Residents will be responsible for electric and gas. 
 
"I do feel strongly that we are delivering a product, and indeed it is attainable and affordable housing that I just feel there is a need for that in Berkshire County," said Val Whaling, director of sales for Teton Management Corp. "We feel really strongly about pride of home ownership versus renting an apartment and signing a one-year lease. There's merit in that as well."
 
Whaling said the company likes to see people be able to own a home.
 
"We love pride of home ownership and our customers are that of that nature. They have doggies, they have grandkids. They love to decorate their yards," she said. "We're installing sheds, they love to, you know, plant a garden and have a small lot and a little yard. It's different than buying a stick-built house in Berkshire County right now as well, which is a whole different product and much more expensive." 
 
The multi-section homes are 28 feet wide by 48 feet in length. They will have three bedrooms and two bathrooms. There will be three floor plans to choose from that include open-concept kitchens, upgraded fixtures and appliances, two different porch models and a variety of colors. Each lot will also include a two-car parking spot and an 8-by-10-foot shed.
 
The company has started to clear the land by the trail and expect construction of water and sewer lines, paving and electrical to be done by the end of the year.
 
Teton anticipates having six houses in place and for sale by the end of this year, said Whaling. "I already have a wait list."
 
"We are very excited to bring more high-quality manufactured homes, at an attractive price point, to Pittsfield to help solve the need for more affordable housing in Berkshire County," said Teton President George C. Whaling, in a press release.
 
For more information, Teton can be contacted at 413-770-6296.
More Featured Stories
Pittsfield.com is owned and operated by: Boxcar Media 106 Main Sreet, P.O. Box 1787 North Adams, MA 01247 -- T. 413-663-3384
© 2008 Boxcar Media LLC - All rights reserved